조황관리HOME / 조황관리 / 상세정보

제목 : 3월 29일 토요일 어구가자미 조황!!
등록일 : 2025-03-29
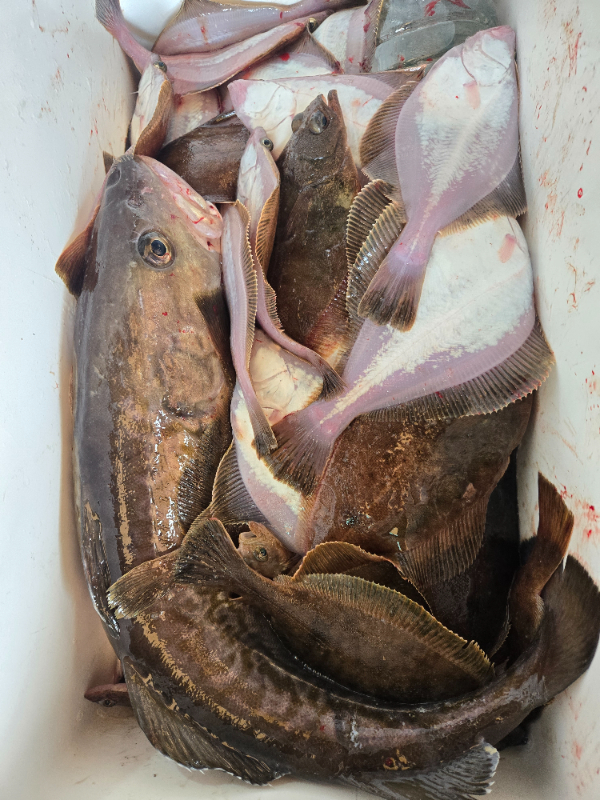
3월 29일 토요일 어구가자미 조황!!

어구가자미가 언제까지 나올까요? 
올해는 늦게 시작하여, 문어시즌 전까지
어구가자미가 나와주네요.^^
조기 입항에도 사이즈도 좋고, 
20키로 전후 반으로
괜찮은 조황 입니다. 

함께 해 주신 조사님들 수고많으셨습니다.
감사합니다.^^

내일 자리 여유 있습니다.
함께하실 조사님들 연락주세요.

????010-9069-9465 



1000007189.jpg


1000007188.jpg


1000007187.jpg


1000007186.jpg


1000007184.jpg


1000007185.jpg


1000007183.jpg


1000007182.jpg


1000007173.jpg


1000007172.jpg


1000007171.jpg

 



===== 고성 오호항 더킹호 예약안내 =====

예약문의 : 010-9069-9465 (작업 중에 전화를 못받습니다. 추 후 연락드리겠습니다.)
오시는길 : 강원 고성군 죽왕면 오호리 오호항
홈페이지 : http://theking.sunsang24.com/ 


모바일.jpg 

Top